
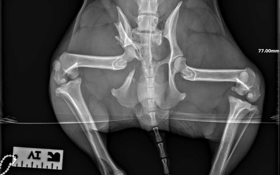
Kochani! Piesek został potrącony oczywiście sprawca nie raczył sprawdzić czy piesek żyje... Zostawił go na drodze narażając na rozjechanie i pewną śmierć. Właściciel psa prawdopodobnie zostawił go i wyjechał, a piesek błąkał się po wsi... aż się wydarzyło... "Znajdek" został zawieziony do lecznicy i okazało się, że ma złamanie wieloodłamowe przezpanewkowe prawostronne, zwichnięcie biodrowo-krzyżowe lewostronne, uraz glowy, urazy wielonarządowe. Koszt operacji chirurgicznej (śrubowanie) to kilka tysięcy, dodatkowo jeszcze koszty rehabilitacji. Dodatkowo czas nagli bo z podjęciem operacji nie można czekać.
Jeśli możecie- pomóżcie! Każda złotówka się liczy! Nie miałam serca oddać go do schroniska... Póki co staram się jak mogę aby piesek mógł odzyskać zdrowie - obiecałam mu, że mu pomogę! I mam cichą nadzieję, że mi w tym pomożecie....🙄 A bez Was się nie uda!😥 Bo
w końcu „Każdy ma coś, co może dać innym.."
Załóż darmową zbiórkę pieniędzy dla siebie, swoich bliskich lub potrzebujących!