
Aktualizacja i opata za operację.
https://www.facebook.com/share/p/17YPXqM5vK/

Fela jest sunią, która trafiła do mnie 2 lata temu po śmierci opiekunki i oddaniu do schroniska, co stało się jej wybawieniem. Z chorymi nóżkami i oczkiem oraz dużą nadwagą (obecnie to laska🙂). Jest słodką, kochaną niunią, którą świetnie odnalazła się w stadzie.
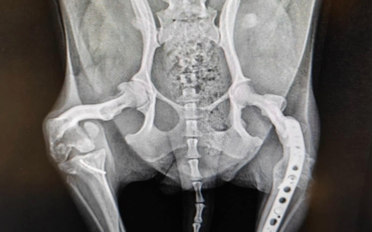
Fela jest po operacjach obu nóżek😢. W jednej wykonano usztywnienie stawu (artrodeza lewego stawu), bo tylko to można było zrobić, była tak wykręcona, do czego doprowadziła poprzednia "właścicielka". Druga nóżka miała reperowaną rzepkę, niestety okazało się, że wada się pogłebiła. Była wielka nadzieja na szczęśliwy koniec kłopotów ortopedycznych.
Niestety potrzeba reoperacji, która niestety nie da gwarancji poprawy, ale choć lepsze samopoczucie. W przeciwnym razie zostanie też usztywniona jak lewa, co mam nadzieję, okaże się śródoperacyjnie. Obecnie tylko tej drugiej usztywnionej używa.
Fela ma bardzo duże problemy z poruszaniem się i oprócz dyskomfortu jest też ból, dlatego nie mogę tego tak zostawić.
Koszt pierwszej operacji to 5 tys, drugiej 3 tys. plus badania. Teraz będzie 5-6 tys. plus tomografia. Masakra.
Tak wygląda rozmnażanie, tak wygląda kupowanie za pińcet.
Fela też była rozmnażana dla kasy i prawdopodobnie trzymana w klatce. Kiedy w końcu zacznie żyć bez bólu?
Wiem, że jest milion zbiórek, milion potrzebujących zwierząt, ale ona też zasługuje na pomoc.
Choć staram się jak mogę i rzadko proszę o pomoc, to muszę.
Teraz mam jeszcze drugą terminalnie chorą sunię z PNN, gdzie miesięczny koszt wyniósł już ok 5 tys. Sprzedałam pierścionki po mamie, sprzedaję auto, które miało zostać, ale to wciąż i wciąż mało. Pomożecie? Naprawdę każde 10zł jest BARDZO pomocne.
Z nadzieją- Aga.

Uważasz, że ta zbiórka zawiera niedozwolone treści ? Napisz do nas


Gdy świat się wali, dajemy nadzieję ❤️ Pomagamy chorym i bezdomnym zwierzętom, ratujemy je w sytuacjach kryzysowych np. w czasie mrozów lub powodzi oraz wspieramy schroniska 🏠🐾
Jak odmienić los tysięcy potrzebujących za darmo?
✅ Wybierz Fundacja Pomagam.pl na liście OPP w rozliczeniu PIT.
✅ Wpisz nasz numer KRS 00 00 353 888 w deklaracji PIT.
Dla Ciebie to rubryka. Dla nich szansa, by przetrwać najgorsze.