
Maleńka kocia dusza znaleziona w Białężycach… trafiła do schroniska, a stamtąd pod nasze skrzydła. Wydawało się, że los wreszcie się do niej uśmiechnie. Niestety – to, co zobaczyłyśmy, złamało nam serca.

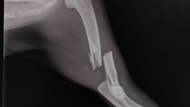
Zamiast chodzić – skakała. I już wiedziałyśmy, że to nie zwykła „dziwna maniera”. Diagnoza zmroziła nas: połamane dwie przednie łapki. Maleństwo nie może się poruszać, leży pod kroplówkami, wycieńczone, bez apetytu, w inwazji pcheł i wszołów… Sutki nabrzmiałe, z których leci mleko – a więc gdzieś tam czekały na nią kocięta, które nigdy nie dostaną swojej mamy z powrotem.

Patrzymy na nią i czujemy bezsilność.
Operacje obu łap to ogromny koszt, którego nie jesteśmy w stanie pokryć. Ledwo udało nam się uregulować poprzednie faktury, a długi wciąż ciążą nad nami. A teraz przed nami kolejne wyzwanie – życie tej kotki zależy od pieniędzy, których po prostu nie mamy.
Prosimy, błagamy – pomóżcie nam ratować tę małą istotę. Bez wsparcia nie damy rady.
Twoje słowa mają moc pomagania! Wpłać darowiznę i przekaż kilka słów wsparcia 🤲
Uważasz, że ta zbiórka zawiera niedozwolone treści ? Napisz do nas


Gdy świat się wali, dajemy nadzieję ❤️ Pomagamy chorym i bezdomnym zwierzętom, ratujemy je w sytuacjach kryzysowych np. w czasie mrozów lub powodzi oraz wspieramy schroniska 🏠🐾
Jak odmienić los tysięcy potrzebujących za darmo?
✅ Wybierz Fundacja Pomagam.pl na liście OPP w rozliczeniu PIT.
✅ Wpisz nasz numer KRS 00 00 353 888 w deklaracji PIT.
Dla Ciebie to rubryka. Dla nich szansa, by przetrwać najgorsze.
Benuś Mruczuś
🐾❤️
Marta Haskiewicz
Zdrowiej kochana koteczko ❤️😞
Małgorzata Chuda
Piekna zdrówka życzę