
Edit: Kotka jest już po zabiegu stabilizacji oraz złożenia kości udowej, została po operacji jeszcze 2 doby w szpitalu aby ustabilizować jej stan. Za dwa tygodnie czeka nas wizyta kontrolna, za miesiąc zdjęcie rtg plus wizyta u chirurga. Bardzo dziękuje za każda darowiznę oraz udostępnianie zbiórki.


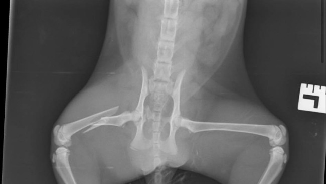
W trakcie pracy na trasie Leżajsk-Rzeszów znalazłam przy ulicy rannego młodego kota (około 1,5 miesięczna kotka), który jest prawdopodobnie bezdomny, ponieważ po poszukiwaniach właściciela okazało się że jest tylko dokarmiany. Kilkanaście razy dzwoniłam na straż miejską w Leżajsku, nikt nie odebrał. Niezwłocznie zawiozłam krwawiącą kotkę na wstępne badanie do lecznicy, gdzie dostała leki przeciwbólowe i przeciwkrwotoczne. Po dokładnym badaniu w klinice i zdjęciu rentgenowskim okazało się że ma złamaną kość udową i pękniętą miednice. Aktualnie kot przebywa w szpitalu Alfavet w Rzeszowie. Konieczna jest operacja złamanej nogi, jednak koszty są wysokie i całość opiewa na kwotę około 2000 zł. Po wykonaniu zabiegu kotka będzie potrzebowała opieki i kochającego domu, którego nie jestem w stanie zapewnić ponieważ posiadam już dwa psy i dwa koty…
Bardzo proszę o udostępnianie zbiórki aby dać tej kotce drugą szansę na normalne życie w kochającym ją domu.



Pamiętajmy każdy GROSZ się liczy!
Twoje słowa mają moc pomagania! Wpłać darowiznę i przekaż kilka słów wsparcia 🤲
Uważasz, że ta zbiórka zawiera niedozwolone treści ? Napisz do nas


Gdy świat się wali, dajemy nadzieję ❤️ Pomagamy chorym i bezdomnym zwierzętom, ratujemy je w sytuacjach kryzysowych np. w czasie mrozów lub powodzi oraz wspieramy schroniska 🏠🐾
Jak odmienić los tysięcy potrzebujących za darmo?
✅ Wybierz Fundacja Pomagam.pl na liście OPP w rozliczeniu PIT.
✅ Wpisz nasz numer KRS 00 00 353 888 w deklaracji PIT.
Dla Ciebie to rubryka. Dla nich szansa, by przetrwać najgorsze.
Alicja
Zdrówka dla kotka ❤️
Paulina Worek
Duuuużo zdrowia dla kotka!
Od Szarusia
Trzymaj się maleństwo!!!!