
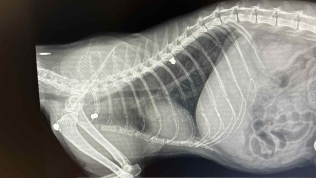
Trzy metalowe śruty tkwią w ciele Draco. Trzy metalowe dowody na to, że ktoś uznał, że jego życie jest nic nie warte... Że cierpienie to zabawa.
Draco był dla kogoś żywą tarczą. Trafił do nas pogryziony, wychudzony, zrezygnowany. Kolejny kot wolnożyjący, który błąkał się po ulicach, niczyj, zapomniany, walczący o każdy dzień.

Jego ciało to mapa cierpienia. Kolejne badania ukazują kolejne przykre diagnozy. Pozytywny test na FIV. Wirus nabytego niedoboru immunologicznego kotów, osłabia jego organizm i sprawia, że każda infekcja to poważne zagrożenie.
Ostry stan zapalny uszu, braki w uzębieniu i ogromny ból w pyszczku, rany po pogryzieniach i ślady po długim życiu na wolności...
Dziś po raz pierwszy w życiu doświadczył bezpieczeństwa i opieki.
Proszę pomóż nam dalej walczyć o Draco. Teraz bardzo potrzebuje Twojego wsparcia.
Twoje słowa mają moc pomagania! Wpłać darowiznę i przekaż kilka słów wsparcia 🤲
Uważasz, że ta zbiórka zawiera niedozwolone treści ? Napisz do nas
Załóż darmową zbiórkę pieniędzy dla siebie, swoich bliskich lub potrzebujących!
Kinia Ziemann
Trzymaj się maluchu 💗😻
Ewa Kempista
Kocham wszystkie Kicie.