

Pod naszą opiekę trafił kot… a właściwie sam nas znalazł.
Przyszedł do swojego karmiciela – pana Krzysztofa. Przyszedł, bo już nie miał siły. Bo cierpiał. Bo ufał, że człowiek pomoże.
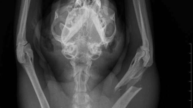
To kot po wypadku w Radziejowie.
Obolały, przerażony, z ogromnym bólem w oczach.
Po wstępnej diagnostyce wiemy już jedno – ma złamaną przednią łapkę. Każdy ruch to dla niego cierpienie. Każda próba postawienia kroku to ból, którego nie da się opisać.
A mimo to… przyszedł.
Nie uciekł. Nie schował się gdzieś, żeby odejść w samotności.
Zaufał.
Jutro ma zaplanowaną operację 15.04.2026. To jego jedyna szansa, żeby znów żyć bez bólu.
Ale taki zabieg to ogromne koszty… koszty, których sami nie jesteśmy w stanie udźwignąć.
My mamy tylko chęci i serce.
A to, niestety, nie wystarcza, żeby zapłacić za leczenie.
Dlatego błagamy Was o pomoc 🙏
Każda złotówka ma znaczenie. Każda wpłata to krok bliżej do tego, żeby ten kot znów mógł normalnie chodzić, żyć, nie cierpieć.
On nie ma nic.
Żadnego domu. Żadnych oszczędności.
Tylko tę jedną, cichą nadzieję… że człowiek okaże mu serce.
Nie przechodźmy obojętnie.
Pomóżmy mu razem 💔➡️
Dziękujemy za każdą pomoc.

*ZEBRANA KWOTA PRZEZNACZANA JEST NA KONKRETNY CEL (ZWIERZAKA).
JEŻELI WYNIK ZBIÓRKI PRZEWYŻSZY WYDATKI NA DANY CEL, POZOSTAŁA KWOTA ZOSTANIE PRZEKIEROWANA NA CELE STATUTOWE ( RATOWANIE ZWIERZĄT).
BIORĄC UDZIAŁ W ZBIÓRCE WYRAŻASZ ZGODĘ NA TE DZIAŁANIA.
DZIĘKUJEMY ZA TWOJE WSPARCIE.
RAZEM MOŻEMY WIĘCEJ 💚💪
Uważasz, że ta zbiórka zawiera niedozwolone treści ? Napisz do nas


Gdy świat się wali, dajemy nadzieję ❤️ Pomagamy chorym i bezdomnym zwierzętom, ratujemy je w sytuacjach kryzysowych np. w czasie mrozów lub powodzi oraz wspieramy schroniska 🏠🐾
Jak odmienić los tysięcy potrzebujących za darmo?
✅ Wybierz Fundacja Pomagam.pl na liście OPP w rozliczeniu PIT.
✅ Wpisz nasz numer KRS 00 00 353 888 w deklaracji PIT.
Dla Ciebie to rubryka. Dla nich szansa, by przetrwać najgorsze.