Niestety, wpłata na tę zbiórkę nie jest już możliwa.

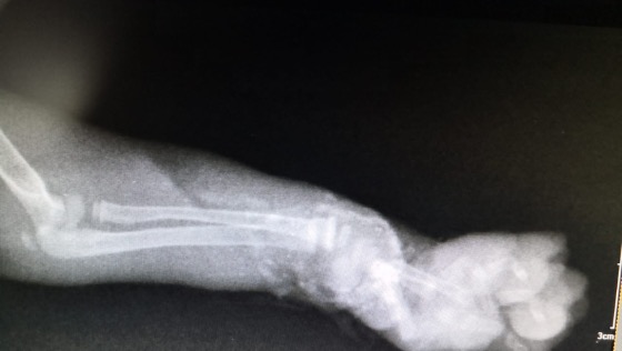
Pewne dobre osoby w drodze do domu zauważyły skulone przy krawężniku, na ulicy małe kociątko. Zwierzak był wystraszony i nie mógł się poruszać. Natychmiast zabrały malucha do weterynarza, ponieważ biedaczek miał zmiażdżoną łapkę...zapewne ktoś potrącił kota i nie raczył się zatrzymać, aby udzielić mu pomocy. Gdyby nie reakcja ludzi, maluch zapewne umarłby gdzieś samotnie w krzakach albo na jezdni.
Po konsultacji z lekarzem okazało się, że konieczna będzie amputacja kończyny. Zdecydowaliśmy się pokryć koszty operacji, bo biedactwo zasługuje na normalne życie.
Koszty amputacji to koszy około 600-700 zł, dlatego bardzo Was prosimy o wsparcie malucha, abyśmy mogli w pełni pokryć fakturę za jego leczenie...



Twoje słowa mają moc pomagania! Wpłać darowiznę i przekaż kilka słów wsparcia 🤲
Uważasz, że ta zbiórka zawiera niedozwolone treści ? Napisz do nas


Gdy świat się wali, dajemy nadzieję ❤️ Pomagamy chorym i bezdomnym zwierzętom, ratujemy je w sytuacjach kryzysowych np. w czasie mrozów lub powodzi oraz wspieramy schroniska 🏠🐾
Jak odmienić los tysięcy potrzebujących za darmo?
✅ Wybierz Fundacja Pomagam.pl na liście OPP w rozliczeniu PIT.
✅ Wpisz nasz numer KRS 00 00 353 888 w deklaracji PIT.
Dla Ciebie to rubryka. Dla nich szansa, by przetrwać najgorsze.
Wpłata nie jest możliwa po końcu zbiórki.
Zrób jeszcze jeden mały krok.
Nawet 1 zł może pomóc!

Anonimowy Darczyńca
Miau
Iwona
Powodzenia Maluszku 😘