Paulina Szczygielska
...
Niestety, wpłata na tę zbiórkę nie jest już możliwa.

Witajcie, przychodzę do Was z ogromną prośbą o finansowe wsparcie na leczenie mojego ukochanego krolika Tuptusia, który będzie musiał przejść przez zabieg usunięcia zębów.
Tuptus jest przekochanym królikiem, oczkiem w głowie moim i męża, niestety od pewnego czasu zaczął bardzo się ślinic i wyrywać sobie sierść z bólu, zaczął być bardziej apatyczny, już nie brykał tak jak zawsze..
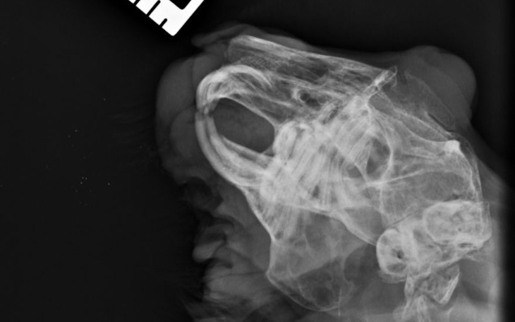
Po przebytych badaniach i zdobieniu zdjecia rtg Pani Dr zauważyła, że Tuptus ma problemy stomatologiczne, a jeden z zębów zaczął rosnąć Tuptusiowi w górę, jeszcze trochę a wrósł by mu w oko.. Dlatego tez Tuptus musi przejsc zabieg usuniecia conajmniej trzech zębów (jeden na górze, dwa na dole), ktore sprawiają mu ogromny bol, jest tez ryzyko, ze straci oko pod ktorym znajduje się ząb..


Ten rok nas nie rozpieszcza, około 1,5 miesiąca temu uległam wypadkowi przez który mam złamany kręgosłup (mam zlamanie 4 wyrostkow poprzecznych kregoslupa, obite zebra, bardzo duży krwiak), przez co przebywam na zwolnieniu lekarskim, a co z tym idzie moje dochody bardzo się zmniejszyły, aktualnie pieniadze te w większości teraz zostały wydane na wizyty u weterynarza, rachunki, mąż natomiast zajmuje się spłatą kredytu (oraz utrzymaniem domu), który po wszystkich podwyżkach znacznie nam wzrósł.. niestety ale czekać mnie będzie również rehabilitacja, która również będzie wymagała od nas wkładu finansowego (aby w pełni być sprawną nie wystarczy ta przepisana na NFZ.. )
Zawsze staramy się pomagać innym, jednak my teraz sami potrzebujemy pomocy, mam nadzieję że choc trochę będę w stanie uzbierać na zabieg, który odbędzie się 13 września, niestety jest to zbyt krótki czas, abym zdołała uzbierać aż taką kwotę.. cała suma zostanie oczywiście przekazana na leczenie Tuptusia, jednak jeżeli pozostałaby jakakolwiek nadwyżka, pieniadze zostałyby wpłacone na fundację pomocy zwierzętom, które po naszej analizie najbardziej będą potrzebowała dodatkowego wsparcia.
Wszystkim, ktorzy zechcą wplacic choc zlotowkę dziękuję z calego serca, mam nadzieje ze jak wroce w pelni do sprawnosci, tez bede mogla pomoc innym, ktorzy beda tego potrzebowac!

...
Twoje słowa mają moc pomagania! Wpłać darowiznę i przekaż kilka słów wsparcia 🤲
Uważasz, że ta zbiórka zawiera niedozwolone treści ? Napisz do nas


Gdy świat się wali, dajemy nadzieję ❤️ Pomagamy chorym i bezdomnym zwierzętom, ratujemy je w sytuacjach kryzysowych np. w czasie mrozów lub powodzi oraz wspieramy schroniska 🏠🐾
Jak odmienić los tysięcy potrzebujących za darmo?
✅ Wybierz Fundacja Pomagam.pl na liście OPP w rozliczeniu PIT.
✅ Wpisz nasz numer KRS 00 00 353 888 w deklaracji PIT.
Dla Ciebie to rubryka. Dla nich szansa, by przetrwać najgorsze.
Wpłata nie jest możliwa po końcu zbiórki.
Zrób jeszcze jeden mały krok.
Nawet 1 zł może pomóc!

Wiktoria
uściski!