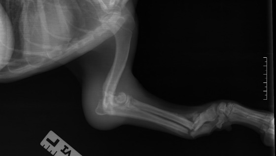
Sheldon. czeka na dom, potrzebuje wsparcia
Sheldon Wspaniały :)
dziękuje wszystkim za wpłaty, niestety ciągle brak zainteresowania adopcją
a utrzymanie kosztuje, teraz Sheldon musi być zaszczepiony - ostatni raz wirusówki i wścieklizna. Apetyt też niemały















Agnieszka
Trzymam kciuki za Spełniona i za zbiórkę!
Runa - Organizator zbiórki
bardzo dziękuję :)
Agnieszka
Mam nadzieje , ze i ta historia będzie miała dobre zakończenie . On musi trafić do wyjątkowego , dobrego domku
Runa - Organizator zbiórki
na to liczę- i ja, i on dziękuję :)
Anna
A jeśli w następnym wcieleniu coś podobnego nam się przytrafi?
Runa - Organizator zbiórki
może też ktoś nam pomoże..
Magdalena
Powodzenia!
Runa - Organizator zbiórki
bardzo ono Sheldonowi potrzebne - dziękuję :)
Frantic
Powodzenia Malulu :)
Runa - Organizator zbiórki
Sheldon bardzo dziękuje. Aktualnie jeszcze jest w klinice