Niestety, wpłata na tę zbiórkę nie jest już możliwa.

Nazywam się Krzysztof Cierniak i mieszkam w Poznaniu, jestem tatą Adama i Leny którzy dzielnie opiekują się swoim ukochanym psem Ciapkem (w metryce Kapsel).
W zeszły piątek na drodze osiedlowej z ograniczeniem do 20 km/h z ogromną prędkością rozpędzony szaleniec potrącił Ciapka kiedy mój siedmioletni syn był z nim na spacerze. Sprawca uciekł z miejsca zdarzenia. Chłopakowi nic się nie stało.
Oboje naszych dzieci troskliwie się nim opiekują a my ich wspieramy.
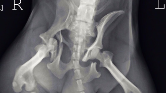
Po konsultacjach z weterynarzem konieczna jest operacja rekonstrukcji obustronnie połamanej miednicy i kości. Zmiażdżona jest też panewka stawu biodrowego. Połamane kości utrudniają wypróżnianie bo uciskają na jelita psa,. Nerwy nie są na szczęście uszkodzone. Nie może chodzić. Konieczne są środki przeciwbólowe.
Koszt samej operacji oszacowano wstępnie na 3000zł. Dziś kolejne konsultacje. Konieczne są implanty. Dotychczasowe wizyty u weterynarza w związku z całą tą sytuacją już pochłonęły znaczne środki z naszego budżetu.
Wasza pomoc pozwoli Ciapkowi przywrócić mu sprawność i ulżyć w cierpieniu. Bez tego prócz braku mobilności może mieć problemy z wypróżnianiem a w konsekwencji poważne powikłania których skutki są trudne do przewidzenia...
W przypadku rekonstrukcji rokowania są optymistyczne, choć pewnie nie wróci do swojej pełnej sprawności sprzed wypadku. Ale kto to wie, bo tak wesoły pies plus jego kochające i wspierające ludzkie "stado" mogą zdziałać cuda. Wy też możecie pomóc!:)
To jest pierwsza nasza prośba na takim portalu.
Za każdą wpłacona złotówkę będziemy wdzięczni z całego serca.


Weterynarz: Praktyka Weterynaryjna MY PET, prowadzący lek. wet. Dawid Barteczka
Twoje słowa mają moc pomagania! Wpłać darowiznę i przekaż kilka słów wsparcia 🤲
Uważasz, że ta zbiórka zawiera niedozwolone treści ? Napisz do nas


Gdy świat się wali, dajemy nadzieję ❤️ Pomagamy chorym i bezdomnym zwierzętom, ratujemy je w sytuacjach kryzysowych np. w czasie mrozów lub powodzi oraz wspieramy schroniska 🏠🐾
Jak odmienić los tysięcy potrzebujących za darmo?
✅ Wybierz Fundacja Pomagam.pl na liście OPP w rozliczeniu PIT.
✅ Wpisz nasz numer KRS 00 00 353 888 w deklaracji PIT.
Dla Ciebie to rubryka. Dla nich szansa, by przetrwać najgorsze.
Wpłata nie jest możliwa po końcu zbiórki.
Zrób jeszcze jeden mały krok.
Nawet 1 zł może pomóc!

Ania S
powodzenia Ciapku! Trzymajcie sie dzielnie maluchy x