Bolesławieckie Koty
Bucio po operacji dochodzi do siebie :)
bardzo dziękujemy za wpłaty bo dzieki Wam Bucio bedzie mogł żyć
normalnie a najwazniejsze bez bólu :)

Niestety, wpłata na tę zbiórkę nie jest już możliwa.

Wywiad do magazynu "Mój Pies i Kot" z Panią Marysią oraz weterynarzem Redvet. Skąd wziął sie Bucio ?
-Bucio... Pojawił się nagle, nie wiadomo skąd, w grudniu 2016 roku w grupie bezdomniaków dokarmianej przeze mnie. Nikt nie znał jego historii. Wyjechałam na jakiś czas i po powrocie odkryłam, że Bucio ma coś z łapką. Poszłam do gminy zgłosić sprawę. Kotek trafił do lecznicy. Był tam przez ok 3 tygodnie, w tym czasie został wykastrowany. Usłyszałam wtedy w lecznicy, że w kwestii łapki nie da się nic zrobić. Cóż, zapewne gmina nie chciała wydać na kocią łapę zbyt dużej kwoty 😞 I co byco było potem ?
- Czas mijał a Bucio nie miał domu. Poprosiłam o pomoc Annę. Anna zrobiła ogłoszenie na fb i udostepniała gdzie się dało. Napisała, że ma chorą łapkę ale mu to w niczym nie przeszkadza.Post zobaczyła Pani Barbara, która przyłączyła się do walki o Bucia i zaczęła szukać dla niego jakiegoś ratunku. Pani Basia poprosiła o pomoc "Bolesławieckie Koty"gdyż, wiedziała,że ratują koty. Pani z "Bolesławieckich Kotów" natychmiast skonsultowała przypadek Bucia z weterynarzem z kliniki Redvet w Bogatyni. Jak Bucio trafił do gabinetu Redvet ?
- Bucia zawiozła do Bolesławca moja znajoma, a Bolesławieckie Koty zawiozły go do Bogatyni i od razu trafił do gabinetu. 
Rozmowa z dr. Martą.
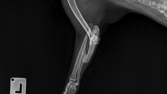
Pani doktor jaki jest stan Bucia na chwile obecną ? - Po wstepnej diagnostyce: Kot wykazuje bolesność przy poruszaniu łapką.Rozległość urazu jest bardzo duża. Pozostawianie łapki w takiej formie, jeśli chodzi o komfort poruszania się - nie jest najlepszym pomysłem. Co Pani radzi w tej sytuacji ?
- W wariancie minimum - można taką łapkę a m p u t o w a ć . I tak nie jest w stanie prawidłowo jej używać, a zlikwidujemy bolesność. A w wariancie maksymalnym jest do zrobienia bardzo dużo:
po 1 trzeba odświeżyć nieprawidłowo zrośnięte złamanie kości łokciowejpo 2 należy wydłużyć kończynę
po 3 trzeba ściągnąć chrząstki z powierzchni stawowej łokcia, bo jest już kompletnie zdegenerowana i na koniec po sforsowaniu przykurczu i zwłóknienia tkanek miękkich wykonalibyśmy artrodezę - czyli operacyjne usztywnienie stawu łokciowego w najbardziej optymalnej pozycji.Efekt jaki możemy tak uzyskać to zniesienie tej bolesności - optycznie będzie widać, że kot chodzi inaczej, ale nie będzie mu to tak dokuczało.
Pod warunkiem, że nie będzie żadnych nieprzewidzianych powikłań to leczenie przewidujemy na ok. 3 m-ce, z kosztami niestety przekraczającymi 1500 zł
Dziękuję Państwu za rozmowę.
Kochani, ten kot nie zasłużył na takie cierpienie. Chcemy dać mu szansę na przeprowadzenie operacji, ulżenia mu w bólu i przywrócenia komfortu życia. Koszty są duże. Diagnostyka, operacja, rekonwalescencja i rehabilitacja, to koszty, około 2200 zł, których nie jesteśmy w stanie pokryć. Prosimy Was o pomoc. Uratujmy łapkę Bucia ❤

Bucio po operacji dochodzi do siebie :)
bardzo dziękujemy za wpłaty bo dzieki Wam Bucio bedzie mogł żyć
normalnie a najwazniejsze bez bólu :)

Twoje słowa mają moc pomagania! Wpłać darowiznę i przekaż kilka słów wsparcia 🤲
Uważasz, że ta zbiórka zawiera niedozwolone treści ? Napisz do nas


Gdy świat się wali, dajemy nadzieję ❤️ Pomagamy chorym i bezdomnym zwierzętom, ratujemy je w sytuacjach kryzysowych np. w czasie mrozów lub powodzi oraz wspieramy schroniska 🏠🐾
Jak odmienić los tysięcy potrzebujących za darmo?
✅ Wybierz Fundacja Pomagam.pl na liście OPP w rozliczeniu PIT.
✅ Wpisz nasz numer KRS 00 00 353 888 w deklaracji PIT.
Dla Ciebie to rubryka. Dla nich szansa, by przetrwać najgorsze.
Wpłata nie jest możliwa po końcu zbiórki.
Zrób jeszcze jeden mały krok.
Nawet 1 zł może pomóc!

katu
powodzenia
Anonimowy Darczyńca
💙
Bolesławieckie Koty - Organizator zbiórki
💜💛💙💚❤😘
Daniel Kuflewski
Dużo zdrowia dla kotka Buciki :)
Bolesławieckie Koty - Organizator zbiórki
Dziękujemy bardzo i prosimy o kciuki 😘❤💜💛💙
Marzena
Trzymaj sie koteczku
Bolesławieckie Koty - Organizator zbiórki
Bardzo dziękuję :* Gdyby Bucio mówic umiał Napewno by podziekował :)
Anonimowy Darczyńca
Zdrowiej szybciutko kochany koteczku 😘