Stowarzyszenie Koty Prezesowej
Kotka ma się dobrze już skacze i jest wysterylizowana i gotowa do adopcji.

Niestety, wpłata na tę zbiórkę nie jest już możliwa.

Niestety tego wszystkiego już za dużo. Nie dajemy rady. 3 tygodnie temu zostały złapane 3 małe kociaki wraz z matką, matka poszła na sterylke, a kociaki do domu tymczasowego po 2 tygodniach 2 maluchy zaczęły się źle czuć, miały wielkie brzuchy pierwsza diagnoza FIP lekarz doszedl do wniosku że maluchy powinno się uśpić, ale nie godzilismy się teraz musimy zrobić im specjalne badania które potwierdza lub wykluczą FIP, jest nowoczesnosne leczenie które ratuje takie koty a wstępna wycena to 4 500zl ze względu na brak wyników badań potwierdzających narazie zbieramy tylko na ich oplacenie

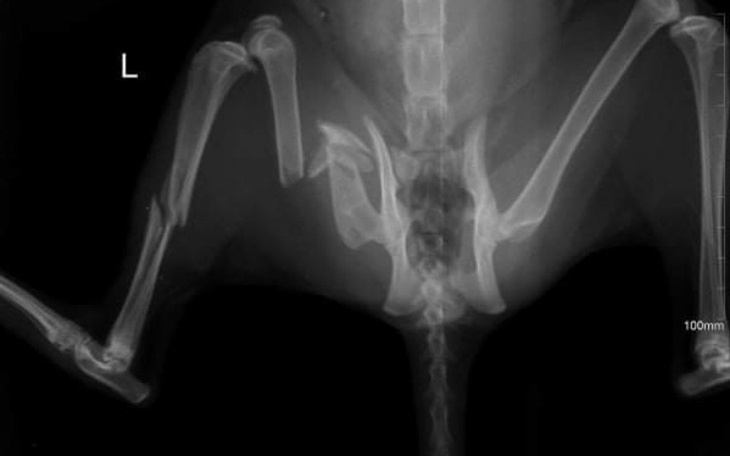
2 tygodnie temu lapalysmy koty które na potęgę się rozmnażaly, trafiło do nas wtedy 11 kotów w tym kotka ktora potrącił samochód 
Kotka niestety jest potrzaskana, lekarze stwierdzili że kotce trzeba amputowac nozke, ale po konsultacji z innym lekarzem kotka jest po operacji za którą musiałysmy zapłacić 1 000zl

W tym momencie 2 z 11 kotów zlapanych z tego samego miejsca poczuły się dużo gorzej niż dotychczas (miały koci katar, podawane leki itd) wracamy od lekarza - PANEUKOPENIA!! Przy 90 kotach które mamy z czego 30 to dzieciaki to zabójstwo, większośc jest zaszczepiona lub miała podana surowice ale i tak musimy ją podać by ratować najmniejszych. Zakup surowicy to kolejny 1 000zl jak narazie 




Zostaje jeszcze nie opłacona przez nas faktura 2 068,20zl

PROSZE RATUJCIE!!!!
Kotka ma się dobrze już skacze i jest wysterylizowana i gotowa do adopcji.

Uważasz, że ta zbiórka zawiera niedozwolone treści ? Napisz do nas


Gdy świat się wali, dajemy nadzieję ❤️ Pomagamy chorym i bezdomnym zwierzętom, ratujemy je w sytuacjach kryzysowych np. w czasie mrozów lub powodzi oraz wspieramy schroniska 🏠🐾
Jak odmienić los tysięcy potrzebujących za darmo?
✅ Wybierz Fundacja Pomagam.pl na liście OPP w rozliczeniu PIT.
✅ Wpisz nasz numer KRS 00 00 353 888 w deklaracji PIT.
Dla Ciebie to rubryka. Dla nich szansa, by przetrwać najgorsze.
Wpłata nie jest możliwa po końcu zbiórki.
Zrób jeszcze jeden mały krok.
Nawet 1 zł może pomóc!
