Niestety, wpłata na tę zbiórkę nie jest już możliwa.

Cześć przyjaciele, nazywam sie Mija. Mam około 7 miesięcy. Uwielbiam sie bawić i biegać, ale niestety nie mogę robić wszystkiego z powodu mojej wady.
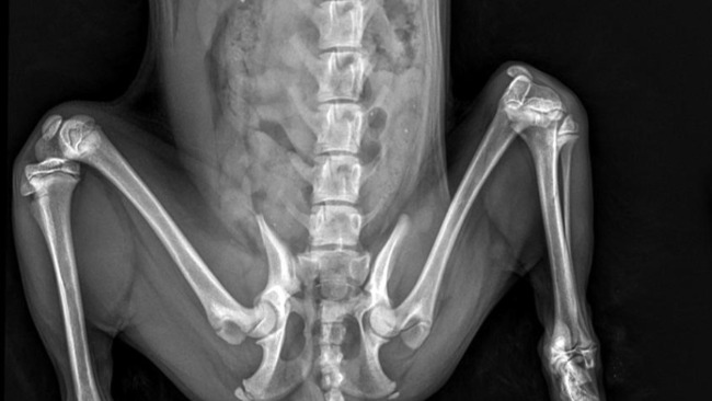
Zostałam zabrana od niedobrego Pana, który trzymał mnie w klatce i nie traktował dobrze. Urodziłam się z przesunięta rzepką, a poprzez nie odpowiednie traktowanie mnie doprowadziła do atrofii mięśni mojej łapki co spowodowało dysplazje moich bioderek.

Żeby móc w końcu kiedyś nie ograniczać się przy zabawie i spacerach potrzebuje wzmocnić mięśnie na fizjoterapi przez najbliższe miesiące. (Jeden miesiąc wyniosł 1500 zl)
Chciałabym prosić o pomoc w zrealizowaniu mojego marzenia którym jest zdrowie.
Będę bardzo wdzięczna za pomoc !
Dziękuję, Mija



Twoje słowa mają moc pomagania! Wpłać darowiznę i przekaż kilka słów wsparcia 🤲
Uważasz, że ta zbiórka zawiera niedozwolone treści ? Napisz do nas


Gdy świat się wali, dajemy nadzieję ❤️ Pomagamy chorym i bezdomnym zwierzętom, ratujemy je w sytuacjach kryzysowych np. w czasie mrozów lub powodzi oraz wspieramy schroniska 🏠🐾
Jak odmienić los tysięcy potrzebujących za darmo?
✅ Wybierz Fundacja Pomagam.pl na liście OPP w rozliczeniu PIT.
✅ Wpisz nasz numer KRS 00 00 353 888 w deklaracji PIT.
Dla Ciebie to rubryka. Dla nich szansa, by przetrwać najgorsze.
Wpłata nie jest możliwa po końcu zbiórki.
Zrób jeszcze jeden mały krok.
Nawet 1 zł może pomóc!

Legolas
Troche dam chodz niewiele mam XD
Anonimowy Darczyńca
Powodzenia