Wpłata nie jest możliwa po końcu zbiórki.
Niestety, wpłata na tę zbiórkę nie jest już możliwa.


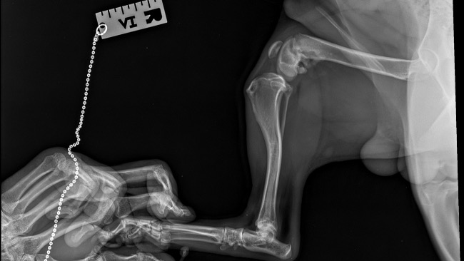
Mam na imię Julia i mam 9 lat. Kilka dni temu mój tata znalazł porzuconego pieska i postanowiliśmy go przygarnąć. Jak udało nam się ustalić od ludzi mieszkających w pobliżu miejsca znalezienia Aksela, (tak dostał na imię) pies błąkał sie tam od 2 miesiecy, wracał codziennie w to samo miejsce jakby czekal na swojego właściciela. Jakiś czas temu potracił go jeszcze samochód. Weterynarz ocenił wiek Aksela na 8-9 miesięcy. Niestety okazało się, że ma złamaną tylną prawą nogę. Dostaje leki znieczulające i dzięki temu tak bardzo nie kuleje. Konieczna jest jednak operacja aby beztrosko mógł cieszyć się życiem. Nie jest to jednak standardowe złamanie stąd też wysoka cena operacji. Weterynarz uprzedzał nas tez o możliwych komplikacjach. Jednak operacja jest potrzebna gdyż pozostawienie nogi w aktualnym stanie w przyszłości będzie rzutowało na jego zdrowie. Jest to dla mnie bardzo ważne. Proszę pomóżcie mi zebrać 2000 zł na operację łapy mojego pieska.


Gdy świat się wali, dajemy nadzieję ❤️ Pomagamy chorym i bezdomnym zwierzętom, ratujemy je w sytuacjach kryzysowych np. w czasie mrozów lub powodzi oraz wspieramy schroniska 🏠🐾
Jak odmienić los tysięcy potrzebujących za darmo?
✅ Wybierz Fundacja Pomagam.pl na liście OPP w rozliczeniu PIT.
✅ Wpisz nasz numer KRS 00 00 353 888 w deklaracji PIT.
Dla Ciebie to rubryka. Dla nich szansa, by przetrwać najgorsze.
Wpłata nie jest możliwa po końcu zbiórki.
Zrób jeszcze jeden mały krok.
Nawet 1 zł może pomóc!
